В Приморском районе обнаружили браконьера
24 лютого 2020 20:47

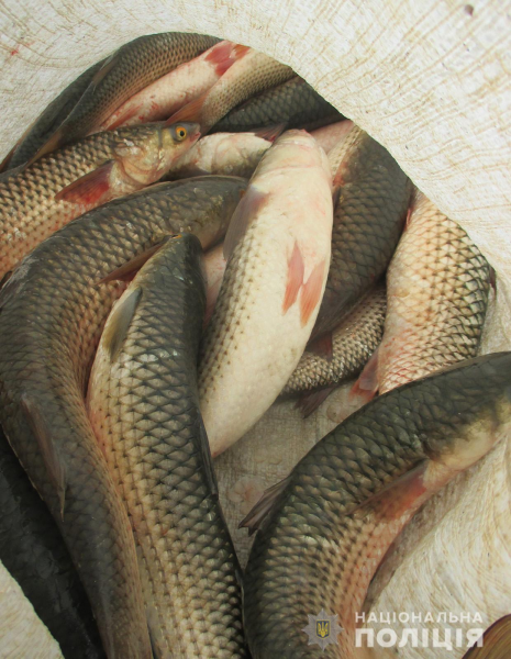
Человек с помощью запрещенного орудия осуществлял вылов пиленгаса в акватории Азовского моря. Вещественные доказательства изъяты. Открыто уголовное производство.
18 февраля около 12:25 в Приморский отделения полиции ГУНП в Запорожской области поступило сообщение от главного инспектора рыбоохранного патруля о том, что житель Приморского района 1966 года сеткой осуществлял незаконный лов рыбы в акватории Азовского моря.
При осмотре полицейские изъяли 85 рыбин пиленгаса (из них 30 рыбин были еще живы и отпущены в море), 3 рыболовные сети, рыбацкий резиновый костюм, автомобиль «ЗАЗ 1102». В настоящее время сумма ущерба устанавливается.
.png)
.png)
По данному факту возбуждено уголовное производство по признакам ч. 1 ст. 249 Уголовного кодекса Украины (незаконное занятие рыбным, животным или другим водным добывающим промыслом). Строжайшая санкция статьи предусматривает ограничение свободы на срок до трех лет. Продолжается досудебное расследование.
Шо вы г а н д оны порыбачить не даёте? .Ху есо сы