На Филиппины обрушился самый мощный в мире тропический шторм
Переглядів: 1413
8 листопада 2013 08:28

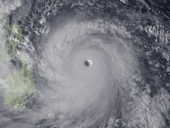
Тайфун "Хайян", который называют самым мощным в мире тропическим штормом нынешнего года, достиг побережья Филиппин. По оценкам центра по наблюдению за тайфунами ВМФ США, скорость ветра "Хайяна" в момент приближения к филиппинским островам составляла 314 километров в час.
Утром тропический шторм обрушился на остров Самар в юго-восточной части страны, примерно в 60 км от города Гуйюан. Высота волн у побережья островов Самар и Лейте достигает пяти метров.
Власти опасаются, что мощный тайфун может стать причиной серьезных разрушений. Нарушено авиасообщение, отменены рейсы паромов. Сообщений о жертвах пока не поступало, однако связь с некоторыми регионами отсутствует. Сельские дороги завалены деревьями, и это осложняет проведение спасательных работ.
Накануне на Филиппинах были эвакуированы несколько тысяч жителей прибрежных районов. В ряде городов закрыты школы и общественные учреждения, а рыболовным судам приказано вернуться к берегу.
"Хайяну" присвоена высшая, пятая категория по шкале ураганов Саффира-Симпсона. Среди местных жителей этот тайфун известен под именем "Иоланда".
По материалам Русской службы Би-би-си
Утром тропический шторм обрушился на остров Самар в юго-восточной части страны, примерно в 60 км от города Гуйюан. Высота волн у побережья островов Самар и Лейте достигает пяти метров.
Власти опасаются, что мощный тайфун может стать причиной серьезных разрушений. Нарушено авиасообщение, отменены рейсы паромов. Сообщений о жертвах пока не поступало, однако связь с некоторыми регионами отсутствует. Сельские дороги завалены деревьями, и это осложняет проведение спасательных работ.
Накануне на Филиппинах были эвакуированы несколько тысяч жителей прибрежных районов. В ряде городов закрыты школы и общественные учреждения, а рыболовным судам приказано вернуться к берегу.
"Хайяну" присвоена высшая, пятая категория по шкале ураганов Саффира-Симпсона. Среди местных жителей этот тайфун известен под именем "Иоланда".
По материалам Русской службы Би-би-си
Схожі новини: